Case 45 のどに異物を詰らせた一例

Case 45 のどに異物を詰らせた一例

5KgのT.プードル。数日前より吐こうとするが吐かない。食欲不振。

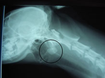
45-01

のどのレントゲン写真。
喉頭にレントゲンに写る異物を認める。

45-02

全身麻酔下にて異物除去を行う。
喉頭部は腫れ出血している。

45-03

腫脹した軟口蓋・喉頭蓋を分けて奥を観察すると、
銀色の異物を確認。

45-04

除去した異物。
異物はイヤホンの先端の金属部分であった。

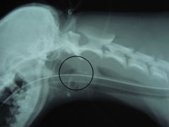
45-05

除去後のレントゲン写真。異物は除去されている。